Saturday, February 23, 2013

Golf and Snorkeling 2-22-13

Yesterday we enjoyed 18 holes of golf at the beautiful Makalei Golf Course.


I have been told that Makalei means peacock, and there were beautiful peacocks and peahens all over this course.  They were definitely looking for a handout, but didn't get one from us.  M&M's and beer aren't good peacock diet.

 
 There were also a lot of these birds that laughed like maniacs at our swings.  I had to look this up, and turns out it is called the Erckel's Francolin and was introduced from Africa in the 1950's.

I was also really happy to see a strikingly handsome pair of kalij pheasants. 


Today Dave and I got up early to catch a boat for a morning of snorkel adventuring!  We were met at the dock by this cute little guy!

We went with a smaller boat with Sea Quest because I read in my Hawaii Revealed guide that they had great info about what we would be seeing and would poke into sea caves on the way.  We were not disappointed.  The Captain, Joe and Mate, Rich, were great.  Joe told us some marine biology, history, and geology- both informative and with a sense of humor. 
We got to see a couple humpbacks and baby humpback as well.  I only brought my underwater cam, so this is a but fuzzy.  The other snorkel boat ended up getting a closer look as the whales moved that way.

It was still cloudy and gray at our first snorkel spot, in the bay that the City of Refuge was located on.  It was cool to snorkel where we had just been on the land a few days before, although the depth kept everything a bit out of camera shot.  Dave got some of me diving down under. 


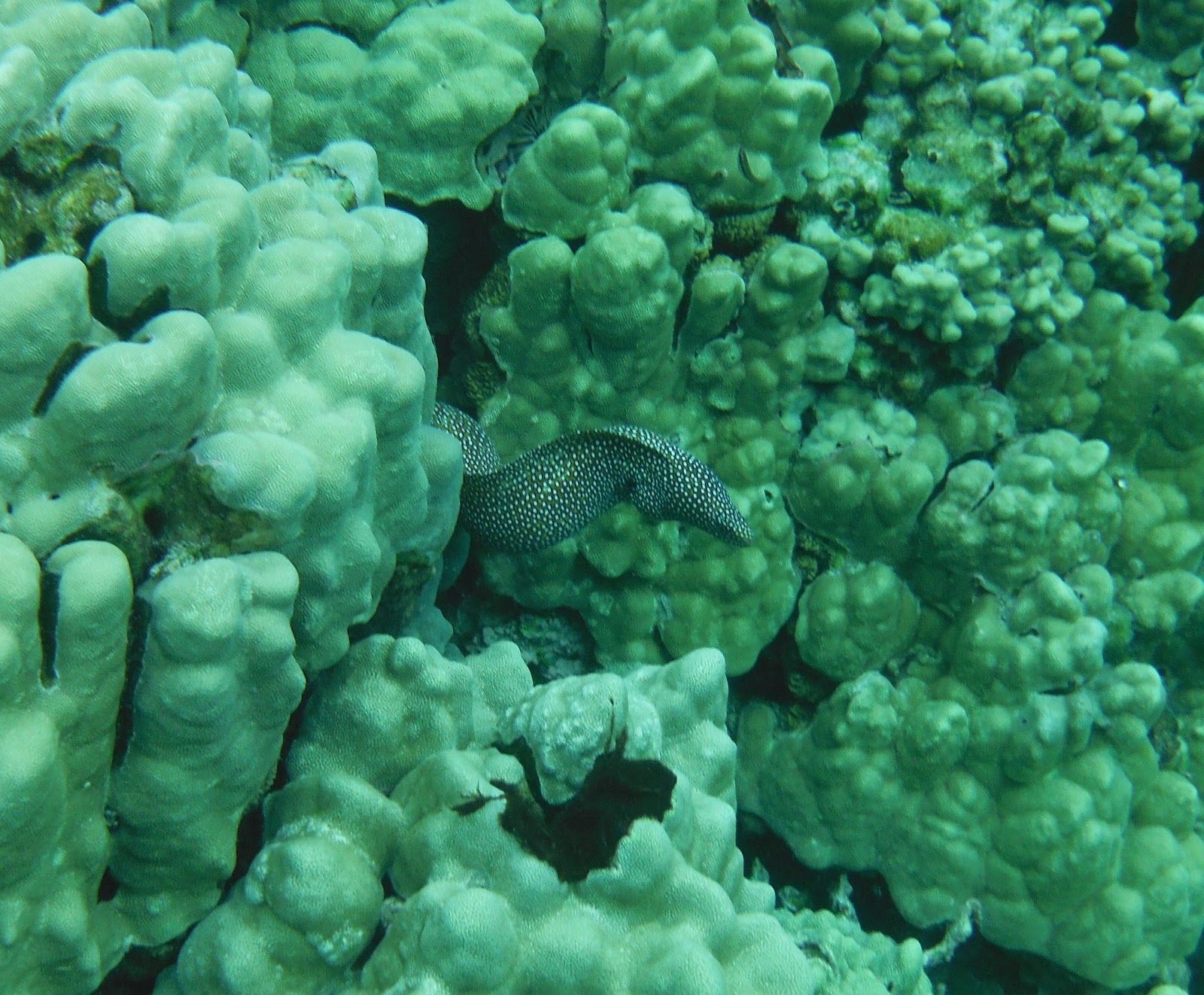
I got a few of a moray eel of some type.  He was pretty big, maybe 4 ft long and fierce looking.


Here is one of the sea caves we poked into.  This one was cut way back and will eventually be a cleft in the cliff.  I don't think the person who is building the multi-million dollar mansion on top of it realizes that.

The next place we went to was Kealakekua Bay, where there is a memorial to Captain Cook.

I also saw a lot of cool fish here.  Finally I got a shot of one fish I had wanted to see, the Achilles Tang:
 
 Here is a longnose butterfly fish with some yellow tangs:

I think the black durgeon triggerfish has become my favorite tropical fish.  Humuhumu ele-ele in Hawaiian, this is a graceful fish, despite its unusual fin placement.  Here is a group I saw while looking out over the deep blue of the bay and then this other guy swam up to me and tipped this way and that, very slowly and confidently showing me the beautiful pattern on his head I had not noticed before.


I believe this big-eyed fish is a squirrelfish:

 
 
I also saw another moray on this snorkel.  This one was a bit smaller and is a whitemouth moray eel.  I dove down near to him to get some decent shots.

 
Wherever you adventure- home or away- happy travels and enjoy your world!

Thursday, February 21, 2013

Painted Church & More Snorkeling 2-20-13

Today we went to see some new things.  The first was called the Painted Church.  After seeing so many brightly colored tropically inspired buildings, I was expecting a rainbow.  I was actually rather surprised when the church turned out to be white.

Then we went inside, and I understood what it was all about.  Everything was painted ornately and even though it was a tiny church, the inside had you looking in so many places that it seemed large and intricate.

Outside was beautiful too.  Many different flowers and trees as well as statuary.  There was an orange tree and also a breadfruit tree.  I had to ask about the breadfruit as I didn't know what it was.  The tree, leaves and fruit were quite big.






I was really happy to see a brown gecko here also!  Everytime I see something new I think of Pokemon... gotta catch them all!  Only I'm using a camera instead of a powerball.  Haha.  This little guy was so chill.
 
 I'm constantly looking for different animals and plants, so it was a huge and hilarious surprise to me, when I got back to the condo and looked at this shot I took of a bird of paradise flower, that I had been photo-bombed by a gecko I never saw!!  Look at this cheeky gecko!  Just to the right of the bloom.  I can't believe I missed him!

From the Painted Church, we went to the City of Refuge, or Pu'uhonua o Honaunau.  If I understand correctly, this was a sacred village where royalty lived, and if someone broke rules or refused to fight during time of war, etc, they had to swim across the bay to the City of Refuge and the priest would bless them and they could go back home.  I guess if they didn't make it they drowned?  Or maybe if they knew they couldn't make it they could take refuge there?  I'm not quite certain.  But here is the king's canoe launch and commoners were not allowed to use it.  That was pretty clear.
 
Here is looking back at the City of Refuge area while we walked to the lava reef area.

 
Here is a picture Linda got of Dave and I as we went out onto the lava and started tidepooling.


Once on the reef, we looked into tidepools and this huge crack that went down to the seafloor that had waves surging in and out.  We could see fish down there, but was dangerous-looking to get in, so we just stuck our cameras in and hoped to catch something.  The water was a beautiful turquoise in there.  I didn't get many clear shots, but in one I did have an achilles tang that swam into the picture.
 
We met a couple there that wanted their picture taken for their Christmas card, and in repayment they took a few of us as well.  Even though our un-sunglassed eyes are squinched against the sun, I liked this one best.


After this excursion, Dave and I went back to the last place we snorkeled and splashed in again!  We saw many fish we had seen previously and met some new friends.  I'll just show the new ones.  It was a fun swim and at one point I was looking at something behind, when some raccoon butterfly fish swam up to me so when I turned back around they were just a couple inches from my face mask!  It was a lovely surprise and they swam all down me, not worried about getting up close and personal. 
This one is some kind of parrotfish I think.  Maybe a bullethead?  I'm just not sure, but a beautiful rainbow of color:

 
This one I had on here before, but this was just a great shot of the curious and friendly cornet fish.  Not super friendly though. I'm bad and reached out to touch the next one I saw and it moved quite emphatically in a way that said "hell no."
 
OK, these aren't new either, but it was a fun picture of different urchins, including a red pencil urchin, tucked into some coral.  If you look close you'll see a pufferfish in there too.

 
The one in the middle with the orange stripe is a belted wrasse:
 
 And these are fourspot butterfly fish:
 
This handsome fish is a peacock grouper.  It was a pretty fish, but seemed like he was thinking of running me off. 

I believe these pretty fish are called sailfin tangs:
 
This tiny brightly colored fish is a Hawai'ian cleaner wrasse:
 
These next three I just can't seem to find in the books I have at hand.  If you know what they are, feel free to leave a comment and let me know!  : )

 

 
As the light in the underwater paradise was dimmer we headed back toward the shore.  As we went hundreds and hundreds of new fish showed up.  None of my pictures would pick them out very well.  They were longish silver fish with maybe blue tails?  And they were in a huge long school.  Quite frequently one of them would twist quickly and flash like lightening! I'm pretty sure it was the fish itself making the light, and not a reflection.  I have no idea what they were either! 
We used the whole day up and got out of the water just in time for this view.